Croisière plongée aux Îles Grenadines
Uniquement en privatisation
Départ Martinique
À partir de 5000€/ 10 jours (10 PERS. MAX / CAPITAINE INCLUS)
Au programme, un archipel composé d’innombrables îles et îlets en plein coeur de la Caraïbe.
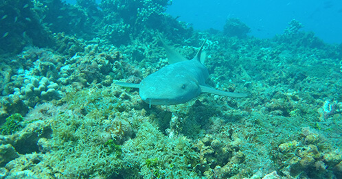
Les Grenadines sont réputées pour leurs fonds marins qui abritent une diversité incroyable d’espèces aquatiques, ce qui en fait un lieu de prédilection pour les amateurs de plongée.
Vous pourrez ainsi nager en compagnie des tortues marines, raies manta ou encore requins dormeurs qui peuplent les eaux turquoises aux alentours.
Faites escale sur les îles de votre choix et explorez les plus beaux récifs au cours de votre croisière plongée.
Sélectionnez vous-même vos sites de plongée.
À découvrir durant votre croisière
Saint Vincent
C’est généralement la première étape de votre croisière plongée. Élue capitale mondiale de la biodiversité, l’île de Saint-Vincent abrite une faune très riche et bien préservée. Un des rares endroits de la Caraïbe où vous pourrez observer des hippocampes ou encore des poissons crapauds. À terre, vous aurez la possibilité de partir en randonnée pour rejoindre le cratère de la Soufrière situé dans le nord de l’île.
Bequia
Ile incontournable pour les amateurs de plongée : une multitude de sites très accessibles et de très beaux récifs coralliens abritant de nombreuses espèces. À terre, Bequia présente de jolis points de vue sur les forts alentours.
Sites de plongée recommandés :
La bouée Cardinal (N1/OW) : Joli site où l’on trouve des gorgones noires sur un petit tombant de 7 à 15m.
- Le village Troglodyte (N1/OW) : Petite baie parsemée de patates.
Canouan
Canouan est réputée pour ses magnifiques plages escarpées et sauvages. Elle est aussi l’île la plus sauvage de l’archipel des Grenadines et la moins visitée. Pourtant, elle regorge de sites de plongée accessibles à tous. Un grand plateau corallien par 12m de profondeur abrite de nombreux poissons.
Sites de plongée recommandés :
- Anse Goyot (N1/OW) : Evoluez dans un paysage montagneux subaquatique, haut en couleurs et abondant de vie.
- Charlestown (N1/OW) : Un plateau corallien de plusieurs km2 qui ne demande qu’à être exploré.
Mayreau
Étape incontournable de votre croisière plongée, l’île de Mayreau est réputée pour sa très belle plage de White Island et son eau turquoise. Mayreau est un trésor caché, un havre de paix et de tranquillité, les baies et plages sont comme des photos de cartes postales, un village chaleureux, une église pittoresque…
Sites de plongée recommandés :
- Catholic Rocks (N2/ADV) : Plongée dérivante ou vous aurez peut-être la chance de croiser des requins dormeurs et des raies léopards.
- Les canyons des Salines (N2/OW) : Serez-vous retrouver votre chemin dans les nombreux petits canyons de cette plongée insolite… ?
Union
Union est au cœur des Grenadines et regorge de sites très variés à découvrir pendant votre croisière plongée. Très colorés et francisés, les habitants locaux y sont très accueillants et prévenants sans être insistants.
Sites de plongée recommandés :
- Chatam bay (N1/OW) : Plongée sur un tombant de 5 à 20m de profondeur au milieu des éponges et multiples espèces de poissons.
Morpion
La petite surprise de votre croisière plongée aux Grenadines et également le lieu idéal pour un moment de solitude. Morpion est un petit paradis perdu aux allures de carte postale. …
Sites de plongée recommandés :
- Morpion nord (N1/OW) : Un tombant de 15m de profondeur, abritant des requins dormeurs.
- Morpion sud (N1/OW) : Un plateau de 12m de fond, parsemé de patates coralliennes.
Tobago Cays
Le lieu le plus touristique des Grenadines, à découvrir au cours de votre croisière plongée. Ses eaux turquoises vous invitent à la baignade. C’est un haut lieu de prédilection des tortues. La plongée y étant réglementée, nous vous proposerons néanmoins de passer par un club sur place, qui vous emmènera découvrir les différents tombants et espèces endémiques des Tobago.
N’hésitez pas à vous renseigner sur les nombreuses plongées possibles aux Grenadines. Faites-nous part de vos désirs et de vos préférences pour une croisière plongée sur mesure adaptée à vos envies.
Une exclusivité Calypso Croisières à partager en famille ou entre amis.
Avant de partir, vous devrez obligatoirement nous fournir un certificat médical de non contre-indication à la pratique de la plongée de moins d’un an. Pour les personnes ayant déjà plongé, n’oubliez pas votre carte ainsi que votre carnet de plongée.
Si vous possédez votre propre matériel de plongée, vous pouvez bien entendu l’emporter avec vous.
Si vous êtes débutant, nous mettons à disposition tout le matériel nécessaire.
Envie d’échanger directement avec nous pour une question, une réservation, un devis ?
N’hésitez pas à nous contacter, nous sommes là pour vous répondre !
Téléphone : +596 696 51 90 54 (appel gratuit)
Email : calypso.croisieres@gmail.com
Point de rendez-vous : Ponton de Grande Anse – Avenue Robert Deloy – 97217 Les Anses-d’Arlet
